要使用网站的所有可用功能,必须在浏览器中启用 JavaScript。
4007-367-367
下载资料
通过追随在焊接焊炬后运行测量仪,即可实现全数检测。以形状判断是否为良品,因此不会因颜色不均匀而出现误检测。
发现焊接不良!
实际案例1
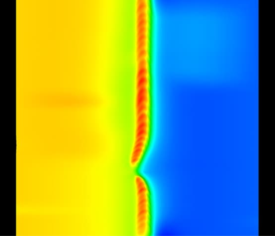
通过测量母材的坡口位置,并向焊接机反馈,以提升焊接精度。
实际案例2
检测咬边、针孔、焊缝过细、凸起等焊接不良。通过积累轮廓数据,提供被称为“3D数据图像处理”的新检测系统。
如需下载专业资料・文件,请在下方注册/登录
请输入您的手机号
如果您已经是网站会员,请输入您注册时的手机号码。如果您尚未注册,请在下面注册您的详细信息。
如果您居住在中国大陆以外地区,请使用Email地址注册。如果您居住在韩国以外地区,请使用Email地址注册。 「Email方式注册」
请输入您的Email地址
若已注册,请输入注册时的Email地址。若尚未注册,请填写Email地址和其他必要信息。
继续
获取验证码 :
我们将尊重您的隐私权,并承诺会对您的个人信息和其他数据进行严格保密。
隐私声明
会员服务
您输入的手机号已注册。请输入密码或短信验证码,以便继续。如您忘记密码,请点击“忘记密码”进行密码重置。
您输入的邮箱地址已注册。请输入密码以便继续。
如您过去接触过基恩士,请输入收到的短信验证码快速注册官网。登录状态下可一键查看更多相关资料。
OR
如您忘记密码,也可以使用下面的验证链接登录。
单击此处发送验证链接
您已与我们建立联系。为了方便您注册账户,我们将向 发送一个验证链接。请点击链接完成注册。
忘记密码?
使用其他邮件地址登录
使用其他手机号登录/注册
手动完成注册,无需验证链接
步骤 1/3
如需登录基恩士官网,请填写以下注册信息。注册后,您可以无限制下载全部资料。
使用其他手机号登录
是否订阅电子资讯
下一页
前一页
我们刚刚通过电子邮件将验证链接发送到 。链接送达后,有效期为 24 小时。没有收到电子邮件?请检查您的垃圾邮件文件夹。
后退
查看更多信息