汽车、航空相关行业
晒纹在数码显微系统下的观察、测量
晒纹加工是指在金属和塑料的表面形成凹凸花纹的表面加工。通过晒纹,不仅可以赋予产品高级感,还可以添加防反射、防滑等功能性。下面我们将为您介绍通过数码显微系统来观察、测量晒纹加工的案例。

什么是晒纹
所谓晒纹,是指在金属和塑料的表面形成的褶皱花纹。晒纹在英语中叫作Texture。除了单纯的凹凸花纹之外,晒纹加工还可用于加工木纹、皮革花纹、梨皮花纹、几何学花纹等。
晒纹加工的分类和目的
提升外观设计性
- 营造高级感
- 使凹陷、熔接线等成型不良变得不明显
- 使脏污和伤痕变得不明显
提升功能性
- 扩散光线,防止光泽
- 添加防滑效果
- 防止贴合
- 提升保湿、疏水效果
晒纹加工的种类
形成晒纹有两种方法:在模具上进行晒纹加工,再将花纹转印到产品上;直接在金属表面实施晒纹加工。下面介绍几种代表性的加工方式。
- 蚀刻
- 遮掩住不加工的部分,用蚀刻液(腐蚀剂)除去多余部分,形成凹凸。皮革晒纹较具代表性。
- 喷砂
- 向模腔内喷涂细微的研磨材料,形成凹凸。通过研磨材料大小和喷射强弱来控制凹凸尺寸。梨皮花纹较具代表性。
- 切削加工
- 用小型立铣刀在模具上切削,形成凹凸。
- 激光加工
- 用激光切割模具表面,形成凹凸。可加工复杂的几何学花纹。
通过数码显微系统来观察、测量晒纹的案例
为您介绍使用基恩士的4K数码显微系统“VHX 系列”来观察、测量晒纹的应用案例。

非Optical Shadow Effect Mode图像

Optical Shadow Effect Mode图像
通过Optical Shadow Effect Mode功能,能够实现凹凸的可视化。

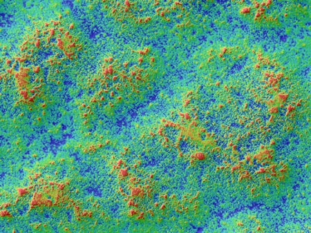
色差图像
在色差图像中,可通过不同颜色表现高低差。
汽车座椅的晒纹观察
ZS-20 20× 环状照明+多方位多功能照明


仪表板(白色)的晒纹观察
VH-Z20 200× 环状照明+HDR

白色晒纹也可通过HDR功能和深度合成进行清晰的观察。
晒纹加工表面的3D轮廓测量
VH-Z20 200× 环状照明

晒纹加工表面的3D图像自动面积测量
VH-Z20 200× 环状照明

搭载深度合成功能之前


